La Direction générale de la Protection civile (DGPC) a tenu une conférence de presse ce lundi 27 octobre pour faire le point sur l’évolution de l’ouragan Melissa. Selon les informations communiquées, l’ouragan se dirige vers la Jamaïque, où il cause déjà d’importants dégâts, laissant penser qu’il ne devrait pas passer directement sur Haïti.
Toutefois, selon le prévisionniste Wilner Polidor, les départements de l’Artibonite et du Nord-Ouest restent placés en vigilance orange. Les opérations de navigation maritime demeurent interdites sur les côtes.
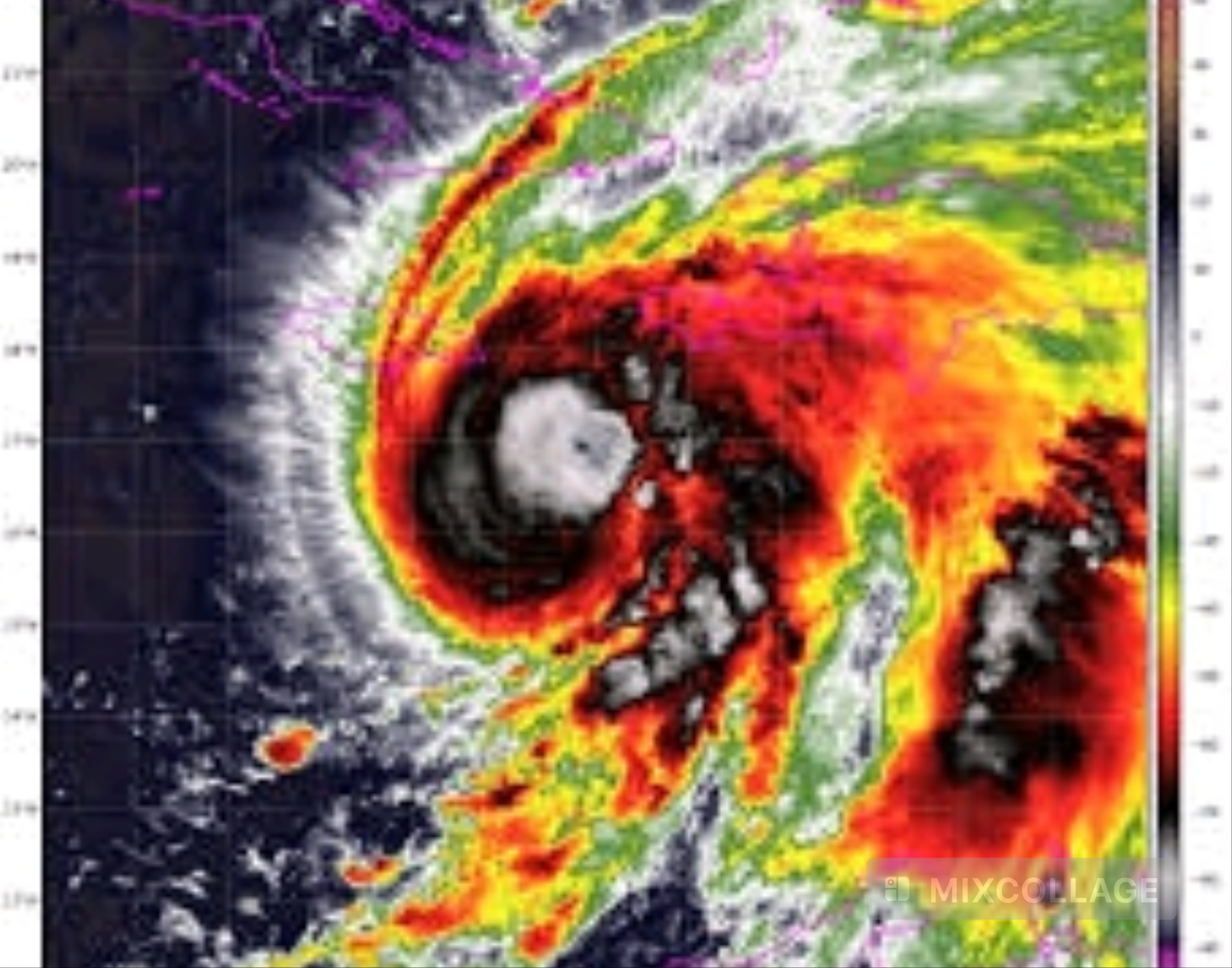
Classé en ouragan de catégorie 5, Melissa constitue un système extrêmement dangereux. La prévisionniste Marie Carmelle Chéry appelle la population à la prudence, précisant que des pluies soutenues sont attendues et que le risque de saturation du sol dans le Sud et la Grand’Anse est évalué à 97 %.
Les départements du Sud et de la Grand’Anse sont placés en vigilance rouge, en raison de pluies intenses pouvant atteindre 200 à 400 millimètres, accompagnées d’orages et de vents violents. Des risques d’inondations soudaines et de glissements de terrain sont à craindre. L’Ouest, l’Artibonite et le Nord-Ouest restent, quant à eux, en vigilance orange.
Selon les dernières prévisions, le centre de Melissa devrait passer sur la Jamaïque ce soir et tôt mardi, traverser le sud-est de Cuba mardi soir, avant d’atteindre les Bahamas mercredi.
Pour Haïti, le temps restera nuageux avec des averses parfois fortes, principalement sur le Grand Sud. Les températures maximales devraient varier entre 28 et 32 degrés Celsius.
L’Unité hydrométéorologique d’Haïti et la Protection civile continuent de suivre l’évolution de Melissa et appellent la population à la plus grande vigilance.
Sorah Schamma Joseph
